조황관리HOME / 조황관리 / 상세정보

제목 : 녹동[빅토리호]10/20 갑오징어 조황
등록일 : 2025-10-20
#조황 #갑오징어
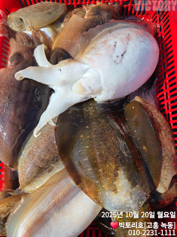
20일 11분 모시고 갑오징어 출조 다녀왔습니다.
출발부터 끝마칠때까지 똥바람 때문에 물색도 탁해지고 승선하신 조사님 모두가 덜덜 떨고 고생스런 하루였네요.
수온도 살짝 내려간 상황인데다 너울파도가 심해 포인트 진입도 힘든 하루였습니다.
이제는 갑이가 다 커서 생수병보다 큰 녀석들이 자주 나와줍니다 요즘 내만에 무늬오징어가 붙을때라서 그런지 맛좋은 무늬오징어까지 나와주네요.
아침으로 춥습니다 출조 오시는 조사님들 외투 꼭 챙겨입고 오셔야 건강 탈이 안납니다.
스케쥴 확인하시어 이맘때 한번씩 다녀가십시요 재밌는 갑이 낚시가 될것입니다.
출조예약문의 010-2231-1111
주소 : 전남 고흥군 도양읍 목넘가는길51-5
(넓은 공터 중간 컨테이너 박스 바로 앞에 주차하시면 배와 가까워 승.하선 시 편리 합니다)
TimePhoto_20251020_151137.jpg


TimePhoto_20251020_151059.jpg


TimePhoto_20251020_151045.jpg


TimePhoto_20251020_151710.jpg


TimePhoto_20251020_151533.jpg


TimePhoto_20251020_151832.jpg


TimePhoto_20251020_152021.jpg


TimePhoto_20251020_152000.jpg


TimePhoto_20251020_152121.jpg


TimePhoto_20251020_152130.jpg

TimePhoto_20251020_152722.jpg


TimePhoto_20251020_152737.jpg


TimePhoto_20251020_152528.jpg


TimePhoto_20251020_152519.jpg


TimePhoto_20251020_151320.jpg


TimePhoto_20251020_080249.jpg


TimePhoto_20251020_080235.jpg


TimePhoto_20251020_054012.jpg


TimePhoto_20251020_134155.jpg


20251020_164950.jpg



 


=== 녹동 빅토리호 예약안내 ===


예약문의 : 010-2231-1111

오시는기 :  전남 고흥군 도양읍 목넘가는길51-5

홈페이지 : http://victoryfishing.sunsang24.com/


모바일.jpg 

Top